Đóng

Bão số 11 Matmo tăng cấp nhanh, cách đặc khu Hoàng Sa hơn 500km

(VTC News) -

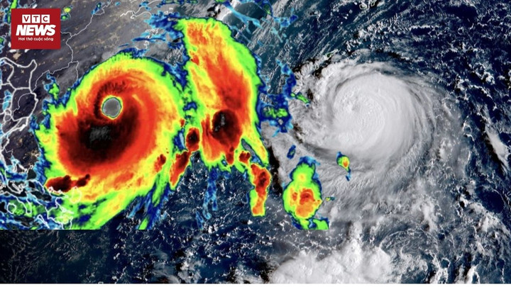
Theo Trung tâm Dự báo khí tượng thủy văn quốc gia, đến 7h sáng 4/10, vị trí tâm bão số 11 Matmo cách đặc khu Hoàng Sa khoảng 510km, đang tăng cấp nhanh.

Hồng Thắm

Tin mới